Planned Power Outages Scheduled for October 22 for Electrical Maintenance

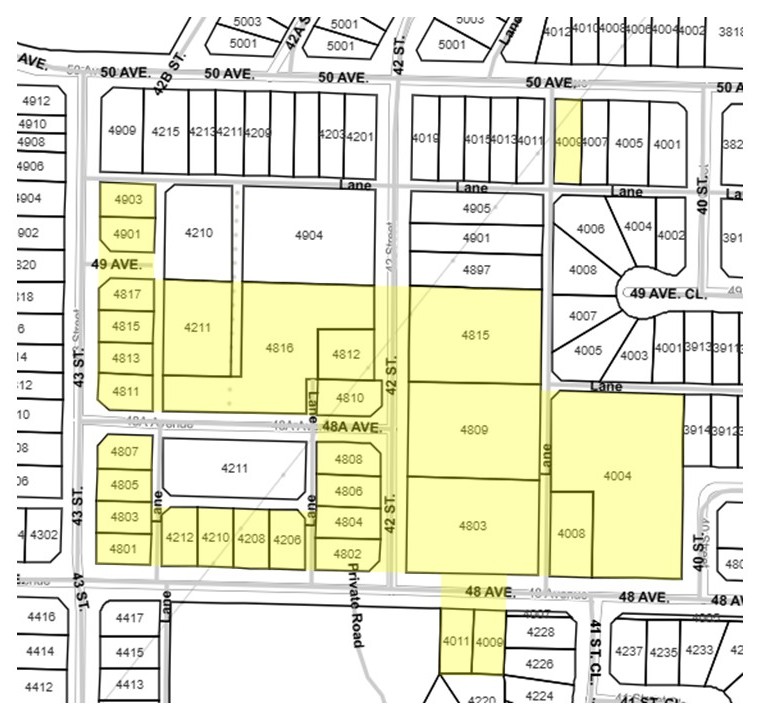
Power Outage Advisory Map of Affected PropertiesClick here to make the map larger.Temporary power outages are scheduled for the Riverside area in Ponoka tomorrow, Wednesday, October 22 (weather permitting) for electrical maintenance at the following locations and time periods:

  • 10:30 to 11:30 a.m. – Properties located on the east side of 42 Street and west of 40 Street between 50 Avenue and 48 Avenue, with two properties located just south of 48 Avenue;
  • 1:30 to 2:30 p.m. – Properties located on the west side of 42 Street and east of the back alley that runs parallel to 43 Street between 48 Avenue and 50 Avenue; and
  • 3 to 4 p.m. – Properties on the east side of 43 Street between 48 Avenue and 50 Avenue. 

Please note that not all properties in these areas will be affected. Click here to view the map of the affected properties.

Affected properties have been notified by hand-delivered notices. Please check your front door or mailbox for a notice if you are in the affected area. 

Notification of the power outage has also been sent to properties that are subscribed to the Town of Ponoka App and Notification Service.

To learn more about the Town App and Notification Service and to enroll, please click here.