Temporary Road Closure Planned on 54 Avenue Beginning on September 25
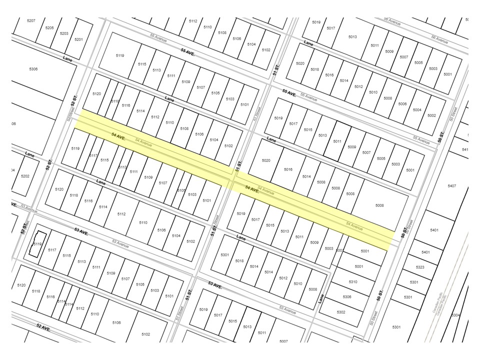
A temporary road closure is planned, beginning on Thursday, September 25 (weather permitting), on 54 Avenue (between 50 Street and 52 Street) as crews conduct underground sewer main maintenance.
The road closure will remain in place until the work is completed.
During this time, citizens are asked to please avoid the area if possible. Motorists are reminded to please drive with caution around work crews and observe road signs.
Please click here to view the map.